研载生物科技(上海)有限公司

8

手机商铺

qrcode
商家活跃:
产品热度:
  • NaN
  • 0.5
  • 1.5
  • 0.5
  • 3.5

研载生物科技(上海)有限公司

入驻年限:8

  • 联系人:

    刘经理

  • 所在地区:

    上海 闵行区

  • 业务范围:

    细胞库 / 细胞培养、技术服务

  • 经营模式:

    生产厂商 科研机构

在线沟通

公司新闻/正文

外泌体不同保存条件的影响研究

10782 人阅读发布时间:2022-04-14 17:53

      外泌体是杯状(30-150nm)的细胞外囊泡,具有脂质双层膜结构,包含介导细胞间通信的蛋白质、mrna和microRNAs。与其他细胞外囊泡不同,当多囊泡体(MVBs)与质膜融合时,外泌体被释放到细胞外空间。几乎所有细胞类型都能分泌外泌体,外泌体存在于各种生物液体中,如血液、尿液、唾液、胸水和母乳。到目前为止,已有多项研究证实了外泌体在疾病发展中的功能以及在诊断和治疗中的潜在临床应用。为了对外泌体的含量和功能进行可重复的研究,需要选择对外泌体影响最小的储存条件。
      作者利用HEK-293T细胞和ExtraPEG方法研究了多种储存条件(温度、反复冻融、pH)对外泌体数量变化和细胞摄取的影响。该研究为外泌体的保存提供了较为全面的信息,对外泌体的保存具有重要意义,对外泌体的功能和应用研究具有重要意义。
文章链接:https://doi.org/10.1007/s13238-018-0529-4
外泌体1.png 
技术路线:
外泌体2.png 
研究结果:
1. 不同储存条件对外泌体数量变化的影响
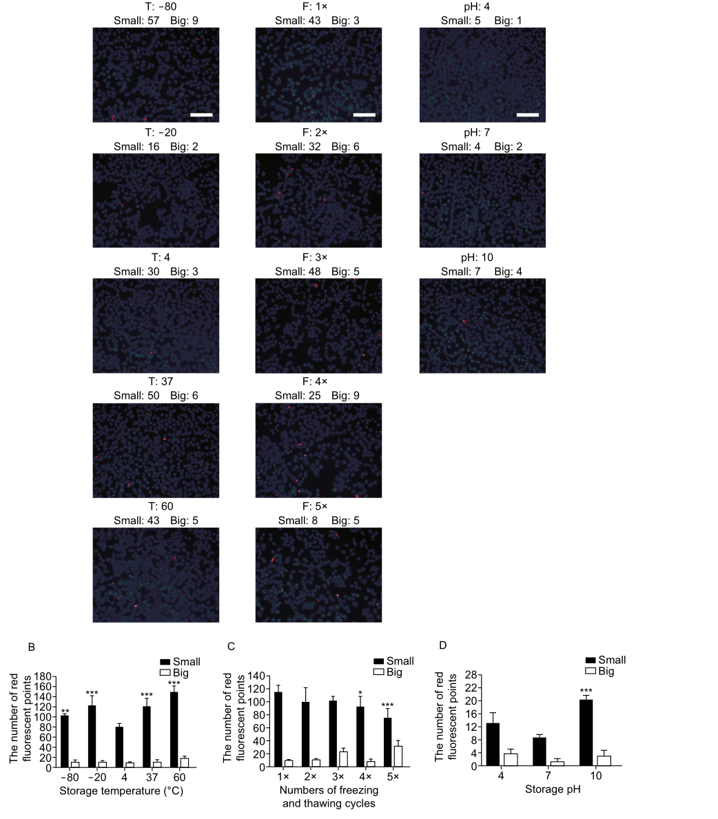
      ExtraPEG方法提取外泌体并验证,提出的外泌体平均分为几个部分,分别保存在不同的温度下(-80℃,-20℃,4℃,37℃和60℃),或经过1-5次冷冻至-80℃再融化的反复冻融,或放置不同的pH条件(pH4,pH7和pH10),24h后,通过NTA和WB检测外泌体剩余数量。
      温度方面:储存在4℃的外泌体浓度最高,ALIX、HSP70和TSG101蛋白水平表达更高。
      冻融次数方面:随着冻融循环次数的增加,外泌体浓度和ALIX、HSP70和TSG101的蛋白表达水平均降低。
      PH方面:在pH 4和pH 10时,外泌体浓度和三种外泌体标记物ALIX、HSP70和TSG101的损失大于pH 7时。储存在pH值4下的外泌体比pH值10下的外泌体下降得更快。说明酸性环境对外泌体的稳定性破坏更大。
      外泌体在不同温度组之间大小没有显著差异,不同冻融循环和pH值组,外泌体没有被分解成更小或融合成更大的囊泡,而是在存储过程中大部分被降解。随着时间的推移,ALIX、HSP70和TSG101的含量逐渐下降。−80°C降解速率低于−20°C和4°C。
 外泌体3.png 
2. 不同储存条件对细胞摄取外泌体的影响
       将PKH26标记的外泌体平均分成几部分,分别储存在不同的温度下(-80℃,-20℃,4℃,37℃和60℃),或经过1-5次冷冻至-80℃再融化的反复冻融,或在不同的pH水平下(pH4,pH7和pH10)。然后将它们与293T细胞一起孵育指定时间。初步实验标明,3 h是细胞摄取外泌体的适宜时间;长时间的孵育增加了外泌体的聚集和计数的困难。外泌体储存在-80℃、-20℃、37℃和60℃后,细胞吸收的单个外泌体比储存在4℃时更多。外泌体的数量随着冻融周期的增加而减少,考虑到外泌体浓度的降低,细胞对外泌体的摄取实际上并无重大变化。pH方面,pH值4和pH值10的储存导致细胞对外泌体的摄取比pH值7时更多。
 外泌体4.png 
结论:
37℃、60℃、-20℃、-80℃与4℃相比,贮藏24 h后,外泌体浓度下降,外泌体吸收增加。相对较高的温度和冻融循环可能会影响外泌体膜,改变其性质,从而使外泌体更容易被细胞吸收。但需要进一步的验证。pH 4的储存降低了外泌体的浓度,并增加了细胞对外泌体的摄取,pH值对外泌体影响的研究值得进一步研究。


研载生物建议您:

(1)新鲜提取的外泌体可以4℃保存2~4天,用冰袋当天寄出。
(2)需要长期保存的外泌体可以放-80冰箱冻存,尽量减少反复冻融,用干冰运输。


【欢迎来电/邮件咨询】
电话:021-54376058

手机:18516646410/13917998048(微信同号)
邮箱:yanzaibio@yihaowan.cn, yanzaibio@163.com
地址: 上海市闵行区放鹤路1088号博济科技园6号楼109室
 

上一篇

文献解读:脑组织外泌体研究

下一篇

文献解读:多肽修饰外泌体

更多资讯

我的询价